Locale commerciale via Salbertrand, zona Parella Tesoriera

Torino - zona Parella

Rif: IMMO-120104638
Condividi Linkedin Whatsapp Stampa
€ 39.000
Vendita
Locale commerciale
63 Mq
Classe energetica Non indicata
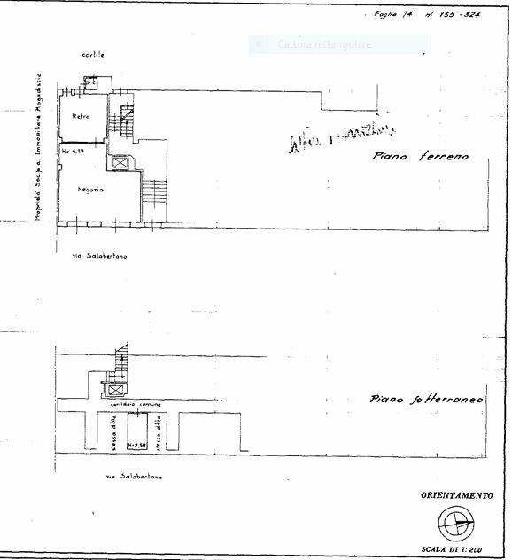
In zona Parella Tesoriera, area di forte sviluppo commerciale, in uno stabile degli anni '50, al piano terra, proponiamo in vendita locale commerciale con n. 2 vetrine su strada.
Il negozio si compone di un locale ampio, un retro con punto acqua ed un bagno esterno nell'interno cortile, per una metratura complessiva di circa 63mq.
Si presenta in buone condizioni interne, allo stato originale.
Dotato di due saracinesche manuali, il negozio dispone di doppio accesso da strada e dall'interno cortile.
Completa la proprietà una cantina di pertinenza.
Libero da fine Agosto 2025.

SE VUOI UNA VALUTAZIONE GRATUITA E SENZA IMPEGNO DEL TUO IMMOBILE, CONTATTACI ALLO 011/77.27.908 Gruppo Immobiliare AGENTO.

Dettaglio immobile

Contratto Vendita
Rif IMMO-120104638
Prezzo € 39.000
Provincia Torino
Comune Torino
Zona Parella
Indirizzo Via Salbertrand 31
Superficie 63 mq
Classe energetica Non indicata
Riscaldamento centralizzato
Condizioni abitabile
Ascensore no

Consistenze

Descrizione Superficie Sup. comm.
Principali
Negozio - piano terra 63 Mq 63 Mqc
Totale 63 Mqc

Video

Planimetrie

Richiedi maggiori informazioni

Autorizzazione al trattamento dei dati personali+
Dichiaro di aver letto l'informativa sulla privacy ed accetto le condizioni d'utilizzo del servizio.
Riempi il campo con il codice riportato nell'immagine*
Codice Captcha
FIAIP
Chiamaci Contattaci